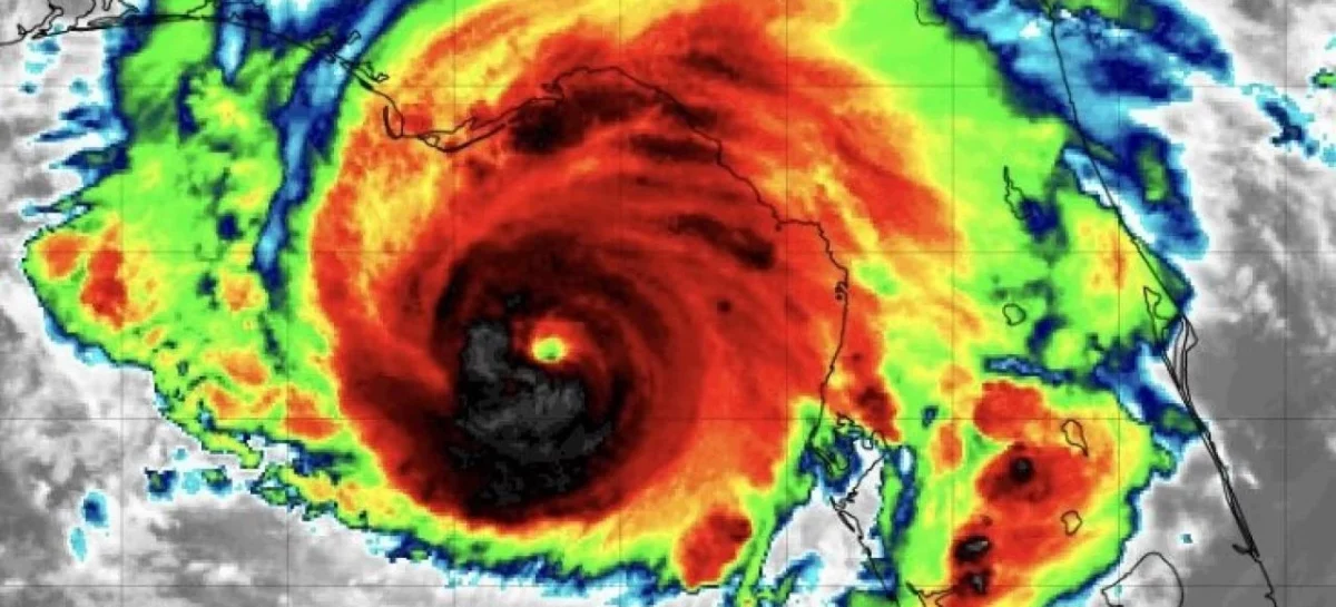
Almeno due vittime, 900 voli cancellati, oltre 400.000 persone senza elettricità. Sono i primi effetti del passaggio dell’uragano Idalia che ha travolto la Florida, come riferisce la Cnn. Idalia ha colpito anche Georgia, Carolina del Sud e Carolina del Nord e secondo alcuni esperti gli impatti potrebbero durare fino al weekend.
L’allerta, dunque, resta altissima, anche se l’uragano, inizialmente di categoria 4, si starebbe indebolendo. «I residui della tempesta stanno ancora colpendo la Florida – ha dichiarato Deanne Criswell, amministratore della Federal Emergency Management Agency – la tempesta ha sorvolato la Georgia e si è spostata verso la Carolina del Sud, dove l’alta marea ha sfiorato i 3 metri. È una situazione ancora molto attiva». Criswell ha spiegato che Idalia è l’uragano più forte che abbia colpito la Florida negli ultimi 100 anni. Dalla Casa Bianca duro monito del presidente Joe Biden, che è in costante contatto con il governatore della Florida, Ron DeSantis. «Penso che nessuno possa più negare l’impatto della crisi climatica. Basta guardarsi intorno. Inondazioni storiche, siccità, caldo estremo e incendi».
In Florida oltre 1,6 milioni di persone hanno ricevuto l’ordine di abbandonare le loro case. Chiusi tre aeroporti, sospese le lezioni in tre Università. Idalia è il quarto uragano a colpire la Florida negli ultimi sette anni dopo Irma nel 2017, Michael nel 2018 e Ian nel 2022.



